Le baptême du Christ par Verrocchio et Léonard de Vinci: quand l'élève et le maître collaborent


Le Baptême du Christ de Verrocchio et Léonard de Vinci, conservé aux Offices, permet d'observer de près la relation entre le maître et l'élève.

Dans l’histoire de l’art, de nombreux artistes ont abordé le thème du baptême du Christ, mais aucun tableau n’est peut-être aussi singulier que celui de Verrocchio (Andrea di Michele di Francesco di Cione ; Florence, 1435 - Venise, 1488) et de Léonard de Vinci (Vinci, 1452 - Amboise, 1519) qui se trouve aujourd’hui à la Galerie des Offices à Florence. C’est l’une des peintures les plus étudiées de la Renaissance, une peinture problématique, une peinture qui fascine parce qu’elle donne un aperçu de la relation entre le maître et son très jeune élève, le Verrocchio de près de 40 ans et un Léonard d’une vingtaine d’années. C’est aussi l’un des très rares tableaux que l’on peut attribuer avec certitude à l’activité de l’atelier de Verrocchio, un artiste dont l’activité de sculpteur est la mieux connue, alors que de nombreuses questions se posent encore sur son activité de peintre. Le premier à faire état de la collaboration entre Verrocchio et Léonard de Vinci fut Francesco Albertini qui, dans son Memoriale di molte statue e pitture nella città di Firenze de 1510 , mentionne “in Sancto Salvi tavvi”.in Sancto Salvi tavole bellissime et uno Angelo di Leonardo Vinci", mais la description ancienne la plus célèbre est probablement celle de Giorgio Vasari, qui a cité la peinture dans ses Vies, à la fois dans celle consacrée à Verrocchio et dans celle sur Léonard: “Il a également peint un panneau à San Salvi, à l’extérieur de la Porta alla Croce, dans lequel saint Jean baptise le Christ”, écrit l’historien dans le chapitre sur Verrocchio, “et Lionardo da Vinci, son disciple, qui était alors un jeune homme, y a colorié un Ange de sa propre main, qui était bien meilleur que les autres choses”.

L’iconographie est typique du baptême du Christ. Sur les rives du Jourdain, Jésus reçoit le sacrement du baptême des mains de Jean-Baptiste, selon le récit des Évangiles. Les jambes en légère contraposition, le Christ est au centre de la scène, inséré dans une composition triangulaire, les mains jointes et la tête inclinée pour recevoir l’eau du Baptiste qui verse le contenu de la coupe dans sa chevelure: le fils d’Élisabeth et de Zacharie est représenté penché en avant, les épaules en équilibre sur sa jambe droite fermement appuyée sur une pierre et sa jambe gauche en diagonale sur la plante de son pied, le bras gauche tenant la croix d’où pend le rouleau portant l’inscription annonçant la naissance de Jésus (“Ecce agnus Dei qui tollit peccata mundi”, de l’Évangile de Jean), et le bras droit levé au-dessus de la tête de Jésus, sur laquelle plane déjà, indéfectible, la colombe de l’Esprit Saint. Plus haut se trouvent les mains de Dieu: la Trinité occupe tout l’axe vertical de la composition et divise la scène en deux parties égales. Jésus et le Baptiste sont deux hommes mûrs, aux visages creusés et aux proportions sculpturales, représentés avec des traits réalistes et un dessin vigoureux même si, comme nous le verrons plus loin, l’intervention de Léonard a adouci les traits du Christ. Plus délicats sont les deux anges que l’on remarque à gauche et qui assistent à la scène, l’un plus attentif, celui qui tourne son regard vers les deux protagonistes et tient la tunique de Jésus dans ses mains, et l’autre qui, au contraire, semble plus distrait et détourne les yeux de l’événement, mais qui joue en réalité un rôle très important: le groupe d’anges a en effet pour but de capter l’attention du sujet et de la canaliser vers le Christ et Jean-Baptiste. Tout se passe dans un paysage rocheux, sous un ciel clair, éclairé par une lumière cristalline, et avec peu de présences végétales: le bosquet sur la falaise, vers lequel s’approche un faucon (interprété comme symbole du mal, par opposition à la colombe: on le voit s’éloigner de la scène), et un palmier schématique, symbole de la victoire du Christ sur la mort, à gauche, insertion d’une troisième main par rapport à Verrocchio et Léonard de Vinci, peut-être la même qui était responsable des éléments moins importants de la peinture (les mains du Père éternel, la colombe du Saint-Esprit, les rochers derrière le Baptiste).

Andrea del Verrocchio et Léonard de Vinci, Baptême du Christ (vers 1470-1475 ; tempera et huile sur panneau, 177 x 151 cm ; Florence, Galerie des Offices, Galerie des statues et des peintures, inv. 1890 no. 8358)
Andrea del Verrocchio et Léonard de Vinci, Baptême du Christ (vers 1470-1475 ; tempera et huile sur panneau, 177 x 151 cm ; Florence, Galerie des Offices, Galerie des Statues et des Peintures, inv. 1890 no. 8358)

Dans le chapitre des Vies consacré à l’artiste de Vinci, Vasari revient sur le thème du Baptême du Christ, offrant au lecteur quelques informations supplémentaires par rapport aux maigres notes de la vie de Verrocchio: Il semble que Léonard, malgré son très jeune âge, ait exécuté l’ange de gauche “de telle sorte que l’ange de Léonard était bien meilleur que les figures d’Andrea: c’est la raison pour laquelle Andrea n’a plus jamais voulu toucher aux couleurs, dédaignant qu’un enfant en sache plus que lui”. Comme dans le plus classique des clichés, en substance, l’élève aurait surpassé le maître, mais dans ce cas, il l’aurait fait de manière à agacer le maître au point de le décider à ne plus toucher aux pinceaux. Bien sûr, nous n’avons aucune preuve pour confirmer l’anecdote de Vasari, qui doit être considérée plus comme un artifice narratif que comme un épisode réel (il est en effet extrêmement improbable qu’un des plus grands maîtres de l’époque abandonne un pan de sa production parce qu’il s’est senti vaincu par ce que l’on pourrait considérer comme un apprenti), mais il est néanmoins certain que, dans ce tableau, nous pouvons observer le contact entre deux attitudes différentes en ce qui concerne la composition.

Par ailleurs, il est certain qu’il s’agit d’une œuvre exécutée à des époques différentes: les recherches diagnostiques, effectuées pour la première fois en 1954, puis approfondies lors de la restauration de 1998, ont en effet révélé la superposition de couches peintes à l’huile sur des couches précédemment exécutées à la détrempe. En particulier, on a découvert que le ciel, les mains de Jésus et son pagne, la colombe et le faucon, le rocher de droite avec son bois, la figure entière de Jean-Baptiste, l’ange de droite, le vêtement de Jésus tenu par l’ange de gauche, l’image de l’enfant, le corps de l’enfant, le corps de l’enfant, le corps de l’enfant, le corps de l’enfant et le corps de l’enfant. Le paysage à l’arrière-plan, l’eau près des pieds des personnages, l’ange de gauche et le corps de Jésus sont rendus à l’huile sur détrempe. En outre, grâce à la réflectographie, on a découvert un paysage qui était initialement placé différemment de celui que nous voyons aujourd’hui et qui, selon l’historien de l’art Andrea De Marchi, ressemble à celui qui apparaît dans le Christ crucifié entre saint Jérôme et saint Antoine l’abbé (tableau conservé au musée de l’église Saint-Pierre, qui se trouvait à l’origine à gauche). Antonio abate (tableau qui se trouvait dans l’église de Santa Maria ad Argiano, dans la commune de San Casciano in Val di Pesa près de Florence, et qui a été volé en 1970), mais pour lequel il est également possible, selon le même spécialiste, d’établir une comparaison avec l’Assomption que Domenico del Ghirlandaio a peinte à fresque dans la sacristie de San Niccolò Oltrarno. Léonard de Vinci, dans le tableau conservé aux Offices, ne s’est pas seulement occupé de l’ange blond mentionné par Albertini et Vasari: les différences marquées entre les divers éléments de la composition ont en effet conduit les spécialistes à lui attribuer d’autres parties du tableau, et l’une d’entre elles est précisément le paysage. Léonard, écrit De Marchi, “a peint le lit du fleuve en superposant des glacis à l’huile aujourd’hui brunâtres, parce que la résine de cuivre a tourné ; les transparences vertes de l’eau, avec des jeux de vagues et des cascades écumantes, couvrent même les pieds du Baptiste de manière surabondante et non canonique”. En 2019, la directrice du Museo Leonardiano de Vinci, Roberta Barsanti, a également émis l’hypothèse que la plus ancienne œuvre datée de Léonard, le Paysage de 1473 conservé au Gabinetto dei Disegni e delle Stampe des Offices, pourrait être attribuée à son éventuelle intervention dans le paysage du Baptême du Christ. La vue à l’arrière-plan est très réaliste (remarquez les contours des montagnes et le cours du fleuve), de fins voiles la recouvrant même avec une légère brume.

Le Christ et Jean-Baptiste Le
Christ et Jean-Baptiste
Les deux anges
Les deux anges
Les pieds du Christ et du Baptiste Les
pieds du Christ et du B
aptiste
Le paysage
Le paysage
Les mains du Père éternel et la colombe Les
mains du Père éternel et la colombe
Le rapace et la forêt Le rapace
et le bois
Cheveux et sourcils du Christ Les
cheveux et le sourcil du Christ

Il est également possible de déceler la main de Léonard dans les reflets de l’eau autour des pieds de Jésus: le pied gauche, en particulier, a été laissé dans un état d’inachèvement volontaire pour mieux suggérer à l’observateur les transparences de l’eau dans laquelle il est immergé. Ensuite, Léonard est également intervenu massivement sur le corps du Christ, en adoucissant considérablement sa figure: De Marchi suggère que sa main est également visible sur le visage de Jésus, qui se présente avec “des ébauches grasses et sensibles, animées par d’intenses réverbérations dans la partie en lumière”. Enfin, Léonard a également travaillé sur le côté gauche de l’œuvre, celui où l’on voit maintenant la paume et où l’on admire son ange blond. En fait, nous avons une certitude sur le Baptême du Christ, comme l’a écrit l’ historienne de l’art Gigetta Dalli Regoli: “la présence d’un dessin primitif basé sur la symétrie, et donc sur une correspondance entre deux masses de roches stratifiées situées sur les côtés: l’une existe encore à droite, tandis que l’autre a été annulée par une intervention de Léonard qui a recouvert le dessin déjà tracé en modifiant le côté gauche du tableau ; l’agressivité de l’intervention de Léonard est attestée par le célèbre Ange cité par Vasari, qui est représenté dans une version inhabituelle avec le dos tourné, et qui prend de l’espace à son compagnon soumis”. L’ange de droite pourrait trouver une correspondance dans un dessin du Gabinetto dei Disegni e delle Stampe degli Uffizi, la Testa di giovinetto (Tête de jeune homme), donnée à Verrocchio, cataloguée sous le numéro d’inventaire 130 E. Certains spécialistes, en effet (d’abord Carlo Ludovico Ragghianti en 1954), n’ont pas exclu un rôle de Sandro Botticelli (Florence, 1445 - 1510) dans le Baptême du Christ, qui a cependant été peu débattu jusqu’à présent: on sait en effet que les deux se connaissaient, que Léonard de Vinci avait une certaine estime pour son aîné, et surtout que les deux fréquentaient l’atelier de Verrocchio.

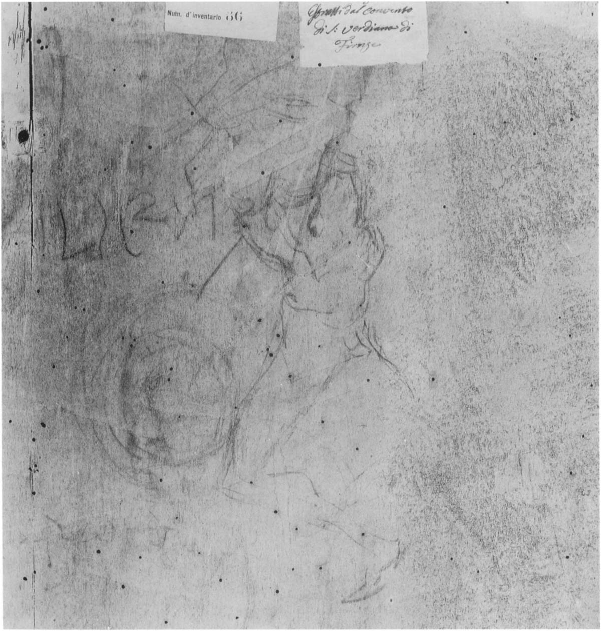
L’hypothèse d’un Sandro Botticelli ayant probablement mis la main à la pâte a été récemment reprise par le directeur des Offices, Eike Schmidt, qui, dans un guide des Offices publié en 2022, s’est dit “tout à fait d’accord” avec Ragghian.totalement d’accord“ avec l’hypothèse de Ragghianti (”ces dernières années“, écrit Schmidt, ”je me suis arrêté des centaines de fois pour admirer le visage de cet ange et j’en suis de plus en plus convaincu. J’en veux pour preuve les yeux, le nez et la bouche, identiques à ceux d’autres tableaux de Botticelli. Que ceux qui visitent cette salle prennent note: regardez le petit ange à droite et retournez ensuite dans les salles Botticelli. Vous n’aurez plus aucun doute"). Ragghianti est également à l’origine d’une analyse stylistique précise du tableau: Le grand historien de l’art lucquois estime que Verrocchio est responsable du décor de base à la détrempe, qu’un de ses collaborateurs (peut-être Francesco Botticini) aurait été responsable des rochers sur les côtés, que ces derniers auraient été repris par Botticini, et que le tableau aurait été peint par l’artiste lui-même.Botticelli aurait ensuite pris le relais de ce dernier, et enfin que tout aurait été harmonisé par Léonard de Vinci, qui serait d’abord intervenu pour enlever, comme on le voit ci-dessus, la paroi rocheuse de gauche (quelques éléments du dessin primitif émergent sous la dernière couche de peinture) et pour compléter les figures. Il est cependant tout à fait plausible d’imaginer que plus d’un artiste a participé à la réalisation du tableau. Il est également utile de rappeler la présence, au dos du tableau, de quelques dessins, des esquisses rapides qui ne sont apparemment attribuables à aucun des auteurs ayant travaillé sur la partie peinte, et qui pourraient appartenir, selon Antonio Natali, à un artiste de l’atelier de Verrocchio fasciné par le dynamisme des figures de Piero del Pollaiolo, vers lequel ces esquisses semblent se tourner avec une certaine insistance.

Andrea del Verrocchio ( ?), Christ crucifié entre saint Jérôme et saint Antoine abbé (vers 1465 ; panneau, 113 x 149 cm ; Argiano di San Casciano in Val di Pesa, Santa Maria, volé en 1970)
Andrea del Verrocchio ( ?), Christ crucifié entre saint Jérôme et saint Antoine abbé (vers 1465 ; panneau, 113 x 149 cm ; Argiano di San Casciano in Val di Pesa, Santa Maria, volé en 1970)
Domenico del Ghirlandaio et ses collaborateurs, Assomption de la Vierge et don de la ceinture à saint Thomas (vers 1468 ; fresque ; Florence, San Niccolò Oltrarno, Sacristie)
Domenico del Ghirlandaio et ses assistants, Assomption de la Vierge et don de la ceinture à saint Thomas (vers 1468 ; fresque ; Florence, San Niccolò Oltrarno, Sacristie)
Léonard de Vinci, Paysage avec rivière (1473 ; plume sur papier blanc jauni, 196 x 287 mm ; Florence, Uffizi, Gabinetto dei Disegni e delle Stampe)
Léonard de Vinci, Paysage avec rivière (1473 ; plume sur papier blanc jauni, 196 x 287 mm ; Florence, Galeries des Offices, Cabinet des estampes, inv. 8 P)
Andrea del Verrocchio, Tête de jeune homme (vers 1472-1476 ; fusain ou crayon noir, retravaillé par l'artiste et une main postérieure à la plume et à l'encre brun foncé, quelques aquarelles brunes au pinceau, contours piqués pour le transfert, avec des traces de poussière de crayon noir ou de fusain, 209 x 181 mm ; Florence, Galeries des Offices, Cabinet des dessins et des estampes, inv. 130 E)
Andrea del Verrocchio, Tête de jeune homme (vers 1472-1476 ; fusain ou crayon noir, retravaillé par l’artiste et une main postérieure à la plume et à l’encre brun foncé, quelques aquarelles brunes au pinceau, contours piqués pour le transfert, avec des traces de poussière de crayon noir ou de fusain, 209 x 181 mm ; Florence, Galeries des Offices, Cabinet des estampes, inv. 130 E)

C’est cependant l’ange blond qui est l’élément du tableau qui offre la possibilité de comparer directement la peinture de Léonard de Vinci à celle du peintre qui a traité l’autre ange, donc probablement Botticelli. L’ange de gauche est en effet peint avec une lumière diffuse que l’on ne retrouve que dans cette figure, avec l’une des premières applications connues du sfumato de Léonard (passage subtil d’une gradation de lumière et de couleur à une autre, les contours de la figure se fondant dans l’atmosphère et n’étant plus marqués plus ou moins nettement). L’artiste n’est plus marqué plus ou moins nettement comme auparavant), et avec "une touche presque impressionniste“, écrit l’universitaire Martin Kemp, qui ne ”sculpte pas littéralement les formes“, mais vise plutôt à ”souligner la luminosité, la réfraction et les reflets". Les divergences apparaissent clairement lorsqu’on observe les cheveux des deux anges: alors que les cheveux de l’ange de droite sont définis avec la précision typique d’un orfèvre, Léonard utilise les reflets de lumière pour donner vie aux cheveux de l’ange ("lorsque Léonard est intervenu avec des glacis à l’huile pour couvrir les surfaces de l’eau au premier plan et à l’arrière-plan du Baptême“, souligne Kemp, ”il les a rendues avec un mélange de vitalité optique et de vie intrinsèque des formes“. Aucun sujet, statique ou en mouvement, n’est resté inerte sous la touche de son pinceau ou de son stylo”). Il est facile d’observer à quel point les cheveux de l’ange blond brillent et à quel point son visage est plein de vie, par rapport à l’ange aux cheveux bruns qui, bien que plus expressif, n’a pas la même douceur que son compagnon peint par Léonard de Vinci. Mais il y a aussi de nettes différences entre Jésus et le Baptiste, le premier étant modelé avec plus de douceur que le second.

L’ange de Léonard est également une nouveauté frappante sur le plan iconographique. Avec son ange, Léonard a démontré, comme l’a écrit Gigetta Dalli Regoli, “comment on peut, avec décision mais aussi avec grâce, défaire une iconographie consolidée par une longue tradition: Sans ailes (le cadre statique du sujet l’imposait), et peut-être même à l’origine sans auréole, un adolescent androgyne et enchanteur entre en scène dos au public, mais capte immédiatement son attention en se tournant, montrant à la fois son beau visage et ses cheveux brillants, ce qui a pour conséquence de brouiller irrémédiablement son compagnon”. Dans un texte actuellement en cours d’impression, l’universitaire revient sur l’iconographie de l’ange, réaffirmant qu’une invention aussi novatrice n’a pu être induite que par “une impulsion fortement critique” et “un choix raisonné”, pour arriver à cette “pose maladroite, clairement artificielle, mais en même temps une solution qui exige une forte visibilité”.

Le tableau a été très apprécié, au point qu’il a été largement copié: la version dérivée la plus connue, témoin fidèle de la disposition initiale du tableau par Verrocchio et Leonardo, est probablement celle conservée à San Domenico in Fiesole, l’une des plus anciennes connues, peinte par Lorenzo di Credi plus de vingt ans après le panneau des Offices. Il existe également une traduction singulière en céramique de Giovanni della Robbia, qui s’est inspiré à plusieurs reprises des œuvres de Verrocchio et de Léonard de Vinci: voir, par exemple, le carreau des fonts baptismaux de l’église de San Pietro in San Piero a Sieve, qui est la transposition la plus fidèle.

Andrea del Verrocchio et Leonardo da Vinci, Baptême du Christ, détail du dos du panneau
Andrea del Verrocchio et Leonardo da Vinci, Baptême du Christ, détail du panneau arrière
Andrea del Verrocchio et Leonardo da Vinci, Baptême du Christ, détail du dos du panneau Andrea del Verrocchio
et Leonardo da Vinci, B
aptême
du Christ, détail
du panneau arrière
Andrea del Verrocchio et Leonardo da Vinci, Baptême du Christ, détail du dos du panneau
Andrea del Verrocchio et Leon
ardo da Vinci, Baptême
du
Christ, détail du panneau arrière
Lorenzo di Credi, Baptême du Christ (vers 1495-1500 ; huile sur panneau ; Fiesole, San Domenico)
Lorenzo di Credi, Baptême du Christ (vers 1495-1500 ; huile sur panneau ; Fiesole, San Domenico)
Giovanni della Robbia, Baptême du Christ (1518 ; terre cuite vernissée ; San Piero a Sieve, San Pietro). Photo de Francesco Bini
Giovanni della Robbia, Baptême du Christ (1518 ; terre cuite vernissée ; San Piero a Sieve, San Pietro). Photo de Francesco Bini

Après des décennies d’études, des hypothèses ont également été émises sur l’histoire possible du tableau: il aurait été commandé à Verrocchio vers 1468 ou peut-être même un peu plus tôt, bien que ce soit le terminus a quo le plus probable, c’est-à-dire le point de référence initial, puisque c’est précisément en 1468 que le frère de Verrocchio, Simone di Michele, était devenu abbé du monastère de San Salvi, où se trouvait l’œuvre dans l’ancien temps, et qui pourrait donc avoir été attribuée au maître. Cependant, nous n’avons aucune certitude que l’œuvre ait été commandée pour San Salvi, bien que l’hypothèse soit plausible. Verrocchio aurait en tout cas commencé la peinture et l’aurait ensuite confiée à ses nombreux collaborateurs, certains permanents, d’autres temporaires: lors de la reprise des travaux, probablement vers 1475, le maître aurait confié au jeune Léonard de Vinci le soin de compléter les parties manquantes et d’uniformiser le tout une fois l’œuvre achevée.

Enfin, si les spécialistes s’interrogent depuis des décennies sur qui a fait quoi à l’intérieur du tableau (question qui, comme nous l’avons vu, trouve aujourd’hui une réponse quasi certaine), les tentatives d’interprétation iconologique du tableau sont plus récentes. Le premier à avoir émis l’hypothèse que derrière le Baptême du Christ se cachait un commissaire d’une solide culture théologique fut Antonio Natali qui, dans une hypothèse formulée dans son essai de 1998, puis confirmée de manière substantielle en 2013 par l’érudit Giorgio Antonioli Ferranti, relia certains motifs du tableau à la Chaîne d’or de saint Thomas d’Aquin, un commentaire sur les Évangiles de saint Thomas d’Aquin.Thomas d’Aquin, le commentaire des Évangiles par le Docteur de l’Église qui fut imprimé pour la première fois, à Rome, précisément au moment où les travaux de Verrocchio et de Léonard commençaient peut-être à prendre forme, c’est-à-dire en 1470. Léonard connaissait certainement l’œuvre de l’Aquinate (le titre “Chaîne d’or” se trouve également dans l’un des feuillets du Codex Arundel), et plusieurs références au commentaire de saint Thomas se retrouveraient dans le tableau, notamment celles qui impliquent la participation de la Trinité au baptême (les mains de Dieu représentent d’ailleurs un concept augustinien repris par saint Thomas d’Aquin): l’ouverture définitive des cieux, qui s’étaient fermés à cause du péché originel, après l’événement fondamental du baptême), le faucon en fuite, les pierres symbolisant plutôt l’Église. Pour Thomas d’Aquin, la colombe, animal “simplex et laetum”, est un oiseau pacifique parce qu’elle n’a pas de griffes qui déchirent, comme les saints qui aiment la concorde, et contrairement aux hérétiques qui, eux, déchirent la doctrine: d’où la présence de l’oiseau de proie. Et encore, nous lisons dans la Chaîne d’Or qu’au moment du baptême, l’Esprit Saint lui-même descend sur l’Église pour préparer les futurs baptisés à le recevoir: la colombe et les pierres du fleuve sont donc étroitement liées. Enfin, Natali propose d’identifier la figure de l’ange de droite à l’archange Michel, auquel on attribue une fonction psychagogique, puisqu’il est chargé d’accompagner les âmes au Paradis, du moins selon les écrits apocryphes.

En dehors des hypothèses de Natali et d’Antonioli Ferranti, il n’y a pas eu d’autres tentatives d’interprétation iconologique. Léonard de Vinci était d’ailleurs un artiste croyant, mais aussi très novateur, et il est donc difficile de l’imaginer suivant servilement une tradition iconographique, ou reproduisant fidèlement en images le texte d’un docteur de l’Église: au contraire, Léonard de Vinci, tout en évoluant dans les schémas de son temps, s’est révélé un fort innovateur des coutumes iconographiques de son époque. Il suffit de penser au dialogue de gestes et de regards qui anime la Vierge des Rochers, ou à l’élément récurrent du doigt pointé vers le haut qui n’a pas encore été entièrement clarifié et qui apparaît, par exemple, dans le Baptiste du Louvre et dans la Sainte Anne de la National Gallery de Londres. L’ange au dos tourné, par exemple, ne fait pas exception, car c’est précisément dans la pose, comme nous l’avons vu, qu’il trouve son élément le plus novateur.

Bibliographie essentielle

  • Gigetta Dalli Regoli, Ancora sull’ “Eccetera” di Leonardo, ed.
  • Eike Schmidt, I miei Uffizi, GEDI, 2022
  • Francesco Caglioti, Andrea De Marchi (ed.), Verrocchio, il maestro di Leonardo, catalogue d’exposition (Florence, Palazzo Strozzi, du 8 mars au 14 juillet 2019), Marsilio, 2019
  • Giorgio Antonioli Ferranti, Il rapace in fuga. Leonardo, Verrocchio et le baptême du Christ, Polistampa, 2013
  • Antonio Natali, Lo sguardo degli angeli. Tragitto indiziario per il Battesimo di Cristo di Verrocchio e Leonardo, in Mitteilungen des Kunsthistorischen Institutes in Florenz, 42. Bd., H. 2/3 (1998), pp. 252-273
  • Carlo Ludovico Ragghianti, Leonardo’s Beginning, in Critica d’arte, I (1954), pp.1-18, 102-118, 302-329

Avertissement : la traduction en français de l'article original italien a été réalisée à l'aide d'outils automatiques. Nous nous engageons à réviser tous les articles, mais nous ne garantissons pas l'absence totale d'inexactitudes dans la traduction dues au programme. Vous pouvez trouver l'original en cliquant sur le bouton ITA. Si vous trouvez une erreur,veuillez nous contacter.